Muzeum zve na výstavu děl Albrechta Dürera
Již třetí výstavu v letošním roce otevře ve středu 26. března v 17 hodin Oblastní muzeum v Děčíně. Tentokrát se jedná o výstavu s názvem Albrecht Dürer – Motivy z díla. Muzejní prostory zaplní sběratelské předměty s tematikou motivu renesančního malíře Albrechta Dürera. V expozici budou k vidění mince, bankovky, grafické listy, medaile a mnoho dalších předmětů. Výstava pochází ze soukromé sbírky dlouholetého spolupracovníka a příznivce děčínského muzea Zdeňka Plíhala a otevřena bude do 29. června 2014.
Nezapomeňte na vyhlášku o omezení hlučných činností
Od ledna 2012 je v platnosti nová vyhláška o ochraně nočního klidu a regulaci hlučných činností. Podle vyhlášky platí omezení hlučných činností nejen na dobu nočního klidu, která je od 22 do 6 hodin, ale také o nedělích a státem uznaných dnech pracovního klidu, a to v době od 6 do 10 hodin a od 12 do 22 hodin. V té době je každý povinen zdržet se používání strojů, zařízení a přístrojů způsobujících hluk, a to například cirkulárek, motorových pil a kos, křovinořezů, drtiček větví, sekaček na trávu, bouracích kladiv, vrtaček a podobně.
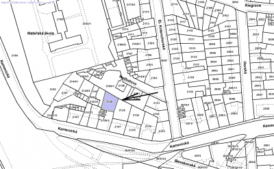
Oznámení o konání dohadovacího řízení na pozemek p.č. 2140 o výměře 302 m2 k.ú. Děčín
V souladu s usnesením zastupitelstva města č. ZM 14 02 06 17 ze dne 20. 2. 2014 oznamuje odbor místního hospodářství a majetku města Magistrátu města Děčín konání dohadovacího řízení na prodej pozemku p.č. 2140 o výměře 302 m2 k.ú. Děčín. Dohadovací řízení se uskuteční dne 7. dubna 2014 od 10.00 hodin v kanceláři č. 321 odboru místního hospodářství a majetku města Magistrátu města Děčín, Mírové náměstí 1175/5, Děčín IV (budova A1, 2.patro, průchod nad knihovnou).
Akce ZOO Děčín – Barevný týden a Zoologická olympiáda
ZOO Děčín připravuje tradiční akci Barevný týden pro kolektivy, jako jsou základní školy, víceletá gymnázia, klienti ÚSP a podobně. Také probíhá Zoologická olympiáda. Termín uzávěrky prvního kola je 31. března 2014. Více informací najdete na www.zoodecin.cz.
Uzavírka ul. Tržní v části mezi ul. Zbrojnickou a Husovým náměstím potrvá do 10.5.2014
Tržní ulice v úseku mezi ulicí Zbrojnickou a Husovým náměstím je uzavřena až do 10.5. 2014. Důvodem uzavírky jsou výkopové práce pro rekonstrukci vodovodu a kanalizace. Práce provádí společnost Skanska a.s., investorem je SVS a.s.
Upozornění na omezení provozu knihovny od 10.do 16.3.2014
V době od 10. do 16. března 2014 jsou výpůjční oddělení hlavní budovy knihovny uzavřena. Provoz informačního centra a výuka v kurzech a akce ve III. patře jsou i v tomto období nepřerušeny.
Těžba na Kvádrberku pomůže při obnově lesa
Ve dvou lokalitách lesa na Kvádrberku zahájil Lesní úřad Děčín takzvanou obnovní těžbu, týkající se porostů stáří cca 180 a 150 let. Smyslem této těžby, která bude probíhat až do konce března, je vytvořit co nejlepší podmínky pro generační obnovu lesa a odclonit sousední mladé listnaté porosty.
Hokejová reprezentace začne přípravu na MS zápasy v Děčíně 10.4. a 11.4.
Oproti minulé sezóně zamíří česká hokejová reprezentace na začátku přípravy pro mistrovství světa do Děčína. Na našem zimním stadionu sehraje v rámci hokejového turnaje Euro Hockey Challenge 2014 ve dnech 10. a 11. dubna dvě utkání s výběrem Dánska.











